The Tokyo University of Information Sciences 

VIIRS Project
VIIRSプロジェクト

Ocean Products
海洋プロダクト
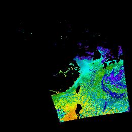
SST
海表面温度
SST 2021
SST 2022
SST 2023
SST 2024
SST 2025

HOME

The Visible Infrared Imaging Radiometer Suite (VIIRS) on the Suomi-NPP has a spectrum coverage from visible, infra-red and to thermal infra-red. In this site, the true color iamge, the ocean products and the land products are prepared from the data received at the Okhotsk Campus of TUA, TUIS, and Miyakojima Facility of TUS.
  スオミ-NPP(S-NPP)に搭載された可視近赤外放射計群(VIIRS)は、可視波長帯域から、近赤外そして熱赤外波長帯域に感度を持つセンサーです。このサイトでは、農大オホーツクキャンパス(網走市)、情報大(千葉市)、農大宮古亜熱帯農場(宮古島市)の地上局において直接受信したVIIRSのデータから作成されたトル―カラー画像、海洋プロダクト、陸圏プロダクトをモニターすることが可能です。
  ST:-2 to 45 deg-C
SST=(((geotiff_value-1)*9400/254)-400)*0.005
 Sea Surface Temperature
 2021  海表面温度
 SST wedge Click to down load.
Satellite: S-NPP Processed at: The Tokyo University of Information Sciences
Sensor: VIIRS Software: IPOPP (NASA GSFC)

NA NA NA NA NA NA
26.04.23
02:28:02
Tiff | Kml
26.04.23
01:32:35
Tiff | Kml
26.04.23
03:06:27
Tiff | Kml
26.04.23
04:47:27
Tiff | Kml
26.04.23
02:01:01
Tiff | Kml
26.04.23
03:37:45
Tiff | Kml
NA NA NA NA NA NA
26.04.22
02:38:25
Tiff | Kml
26.04.22
01:48:38
Tiff | Kml
26.04.22
03:25:22
Tiff | Kml
26.04.22
02:18:31
Tiff | Kml
26.04.22
03:56:41
Tiff | Kml
26.04.22

Tiff | Kml
NA NA NA NA NA NA
26.04.21
02:55:56
Tiff | Kml
26.04.21
04:35:30
Tiff | Kml
26.04.21
02:06:08
Tiff | Kml
26.04.21
03:44:18
Tiff | Kml
26.04.21
05:28:08
Tiff | Kml
26.04.21
02:36:01
Tiff | Kml
NA NA NA NA NA NA
26.04.20
01:38:06
Tiff | Kml
26.04.20
03:13:25
Tiff | Kml
26.04.20
04:55:51
Tiff | Kml
26.04.20
02:23:39
Tiff | Kml
26.04.20
04:03:13
Tiff | Kml
26.04.20
02:54:55
Tiff | Kml
NA NA NA NA NA NA
26.04.19
01:55:38
Tiff | Kml
26.04.19
03:32:20
Tiff | Kml
26.04.19
05:16:12
Tiff | Kml
26.04.19
02:42:34
Tiff | Kml
26.04.19
04:22:09
Tiff | Kml
26.04.19
01:38:32
Tiff | Kml
NA NA NA NA NA NA
26.04.18
02:14:33
Tiff | Kml
26.04.18
03:52:41
Tiff | Kml
26.04.18
05:37:57
Tiff | Kml
26.04.18
03:00:04
Tiff | Kml
26.04.18
04:41:04
Tiff | Kml
26.04.18
01:54:37
Tiff | Kml
NA NA NA NA NA NA
26.04.17
02:30:38
Tiff | Kml
26.04.17
04:11:36
Tiff | Kml
26.04.17
01:42:15
Tiff | Kml
26.04.17
03:20:24
Tiff | Kml
26.04.17
05:01:24
Tiff | Kml
26.04.17
02:13:33
Tiff | Kml
NA NA NA NA NA NA
26.04.16
02:49:33
Tiff | Kml
26.04.16
04:29:07
Tiff | Kml
26.04.16
01:59:45
Tiff | Kml
26.04.16
03:37:55
Tiff | Kml
26.04.16
05:21:45
Tiff | Kml
26.04.16
02:31:03
Tiff | Kml
NA NA NA NA NA NA
26.04.15
01:33:09
Tiff | Kml
26.04.15
03:07:02
Tiff | Kml
26.04.15
04:49:28
Tiff | Kml
26.04.15
02:17:14
Tiff | Kml
26.04.15
03:56:50
Tiff | Kml
26.04.15
02:49:59
Tiff | Kml
NA NA NA NA NA NA
26.04.14
01:49:15
Tiff | Kml
26.04.14
03:25:58
Tiff | Kml
26.04.14
05:08:23
Tiff | Kml
26.04.14
02:37:36
Tiff | Kml
26.04.14
04:15:46
Tiff | Kml
26.04.14
03:06:03
Tiff | Kml
NA NA NA NA NA NA
26.04.13
02:08:10
Tiff | Kml
26.04.13
03:44:53
Tiff | Kml
26.04.13
05:30:08
Tiff | Kml
26.04.13
02:53:41
Tiff | Kml
26.04.13
04:36:05
Tiff | Kml
26.04.13
01:49:41
Tiff | Kml
NA NA NA NA NA NA
26.04.12
02:25:39
Tiff | Kml
26.04.12
04:03:48
Tiff | Kml
26.04.12
01:37:18
Tiff | Kml
26.04.12
03:12:37
Tiff | Kml
26.04.12
05:04:58
Tiff | Kml
26.04.12
02:07:09
Tiff | Kml
NA NA NA NA NA NA
26.04.11
02:55:57
Tiff | Kml
26.04.11
04:22:45
Tiff | Kml
26.04.11
01:54:48
Tiff | Kml
26.04.11
03:31:32
Tiff | Kml
26.04.11
05:13:56
Tiff | Kml
26.04.11
02:24:39
Tiff | Kml
NA NA NA NA NA NA
26.04.10
03:02:05
Tiff | Kml
26.04.10
04:43:05
Tiff | Kml
26.04.10
02:12:17
Tiff | Kml
26.04.10
03:50:27
Tiff | Kml
26.04.10
05:35:43
Tiff | Kml
26.04.10
02:43:35
Tiff | Kml
NA NA NA NA NA NA
26.04.09
01:45:42
Tiff | Kml
26.04.09
03:21:00
Tiff | Kml
26.04.09
05:02:01
Tiff | Kml
26.04.09
02:29:47
Tiff | Kml
26.04.09
04:09:23
Tiff | Kml
26.04.09
03:01:05
Tiff | Kml
NA NA NA NA NA NA
26.04.08
02:01:47
Tiff | Kml
26.04.08
03:39:56
Tiff | Kml
26.04.08
05:23:45
Tiff | Kml
26.04.08
02:47:18
Tiff | Kml
26.04.08
04:29:42
Tiff | Kml
26.04.08
01:43:17
Tiff | Kml
NA NA NA NA NA NA
26.04.07
02:19:16
Tiff | Kml
26.04.07
03:58:51
Tiff | Kml
26.04.07
01:32:20
Tiff | Kml
26.04.07
03:06:14
Tiff | Kml
26.04.07
04:48:38
Tiff | Kml
26.04.07
02:00:47
Tiff | Kml
NA NA NA NA NA NA
26.04.06
02:36:46
Tiff | Kml
26.04.06
04:16:20
Tiff | Kml
26.04.06
01:48:25
Tiff | Kml
26.04.06
03:25:07
Tiff | Kml
26.04.06
05:16:05
Tiff | Kml
26.04.06
02:18:17
Tiff | Kml
NA NA NA NA NA NA
26.04.05
02:55:43
Tiff | Kml
26.04.05
04:35:17
Tiff | Kml
26.04.05
02:05:55
Tiff | Kml
26.04.05
03:44:03
Tiff | Kml
26.04.05
05:27:55
Tiff | Kml
26.04.05
02:35:47
Tiff | Kml
NA NA NA NA NA NA
26.04.04
01:37:53
Tiff | Kml
26.04.04
03:13:12
Tiff | Kml
26.04.04
04:57:02
Tiff | Kml
26.04.04
02:23:24
Tiff | Kml
26.04.04
04:02:58
Tiff | Kml
26.04.04
02:54:41
Tiff | Kml
NA NA NA NA NA NA
26.04.03
02:03:55
Tiff | Kml
26.04.03
03:33:33
Tiff | Kml
26.04.03
05:15:57
Tiff | Kml
26.04.03
02:42:20
Tiff | Kml
26.04.03
04:21:54
Tiff | Kml
26.04.03
01:39:44
Tiff | Kml
NA NA NA NA NA NA
26.04.02
02:12:53
Tiff | Kml
26.04.02
03:51:02
Tiff | Kml
26.04.02
05:37:43
Tiff | Kml
26.04.02
02:59:49
Tiff | Kml
26.04.02
04:40:49
Tiff | Kml
26.04.02
01:54:23
Tiff | Kml
NA NA NA NA NA NA
26.04.01
02:30:23
Tiff | Kml
26.04.01
04:09:57
Tiff | Kml
26.04.01
01:43:26
Tiff | Kml
26.04.01
03:18:45
Tiff | Kml
26.04.01
05:09:42
Tiff | Kml
26.04.01
02:11:53
Tiff | Kml
NA NA NA NA NA NA
26.03.31
02:49:18
Tiff | Kml
26.03.31
04:28:52
Tiff | Kml
26.03.31
01:59:32
Tiff | Kml
26.03.31
03:37:40
Tiff | Kml
26.03.31
05:21:32
Tiff | Kml
26.03.31
02:29:24
Tiff | Kml
NA NA NA NA NA NA
26.03.30
03:08:13
Tiff | Kml
26.03.30
04:49:13
Tiff | Kml
26.03.30
02:18:27
Tiff | Kml
26.03.30
03:56:35
Tiff | Kml
26.03.30
02:48:19
Tiff | Kml
26.03.30
04:27:54
Tiff | Kml
NA NA NA NA NA NA
26.03.29
01:57:32
Tiff | Kml
26.03.29
03:27:10
Tiff | Kml
26.03.29
05:09:34
Tiff | Kml
26.03.29
02:35:57
Tiff | Kml
26.03.29
04:15:31
Tiff | Kml
26.03.29
03:05:50
Tiff | Kml
NA NA NA NA NA NA
26.03.28
02:06:31
Tiff | Kml
26.03.28
03:44:39
Tiff | Kml
26.03.28
05:29:55
Tiff | Kml
26.03.28
02:54:52
Tiff | Kml
26.03.28
04:35:52
Tiff | Kml
26.03.28
01:48:01
Tiff | Kml
NA NA NA NA NA NA
26.03.27
02:25:26
Tiff | Kml
26.03.27
04:03:34
Tiff | Kml
26.03.27
01:37:03
Tiff | Kml
26.03.27
03:12:22
Tiff | Kml
26.03.27
04:54:48
Tiff | Kml
26.03.27
02:05:31
Tiff | Kml
NA NA NA NA NA NA
26.03.26
02:42:55
Tiff | Kml
26.03.26
04:35:18
Tiff | Kml
26.03.26
01:54:33
Tiff | Kml
26.03.26
03:31:17
Tiff | Kml
26.03.26
05:15:07
Tiff | Kml
26.03.26
04:02:35
Tiff | Kml
NA NA NA NA NA NA
26.03.25
03:01:50
Tiff | Kml
26.03.25
04:42:50
Tiff | Kml
26.03.25
02:12:04
Tiff | Kml
26.03.25
04:03:00
Tiff | Kml
26.03.25
05:35:28
Tiff | Kml
26.03.25

Tiff | Kml
NA NA NA NA NA NA
26.03.24
01:44:02
Tiff | Kml
26.03.24
03:33:34
Tiff | Kml
26.03.24
05:01:45
Tiff | Kml
26.03.24
02:29:34
Tiff | Kml
26.03.24
04:09:08
Tiff | Kml
26.03.24
02:59:26
Tiff | Kml
NA NA NA NA NA NA
26.03.23
02:01:32
Tiff | Kml
26.03.23
03:38:16
Tiff | Kml
26.03.23
05:22:06
Tiff | Kml
26.03.23
02:48:29
Tiff | Kml
26.03.23
04:28:03
Tiff | Kml
26.03.23
01:43:03
Tiff | Kml
NA NA NA NA NA NA
26.03.22
02:30:25
Tiff | Kml
26.03.22
03:57:12
Tiff | Kml
26.03.22
01:32:07
Tiff | Kml
26.03.22
03:18:47
Tiff | Kml
26.03.22
04:48:25
Tiff | Kml
26.03.22
01:59:08
Tiff | Kml
NA NA NA NA NA NA
26.03.21
02:37:58
Tiff | Kml
26.03.21
01:48:10
Tiff | Kml
26.03.21
03:26:20
Tiff | Kml
26.03.21
05:07:20
Tiff | Kml
26.03.21
02:16:38
Tiff | Kml
26.03.21
03:54:47
Tiff | Kml
NA NA NA NA NA NA
26.03.20
02:55:27
Tiff | Kml
26.03.20
04:36:27
Tiff | Kml
26.03.20
02:05:40
Tiff | Kml
26.03.20
03:43:50
Tiff | Kml
26.03.20
05:29:06
Tiff | Kml
26.03.20
02:35:34
Tiff | Kml
NA NA NA NA NA NA
26.03.19
01:37:40
Tiff | Kml
26.03.19
03:14:22
Tiff | Kml
26.03.19
04:56:48
Tiff | Kml
26.03.19
02:24:35
Tiff | Kml
26.03.19
04:02:45
Tiff | Kml
26.03.19
02:53:02
Tiff | Kml
NA NA NA NA NA NA
26.03.18
01:55:09
Tiff | Kml
26.03.18
03:46:06
Tiff | Kml
26.03.18
05:15:43
Tiff | Kml
26.03.18
02:42:06
Tiff | Kml
26.03.18
04:21:41
Tiff | Kml
26.03.18
03:11:58
Tiff | Kml
NA NA NA NA NA NA
26.03.17
02:12:40
Tiff | Kml
26.03.17
03:50:49
Tiff | Kml
26.03.17
05:37:30
Tiff | Kml
26.03.17
03:01:02
Tiff | Kml
26.03.17
04:42:00
Tiff | Kml
26.03.17
01:54:09
Tiff | Kml
NA NA NA NA NA NA
26.03.16
02:30:09
Tiff | Kml
26.03.16
04:09:44
Tiff | Kml
26.03.16
01:43:13
Tiff | Kml
26.03.16
03:18:31
Tiff | Kml
26.03.16
05:00:56
Tiff | Kml
26.03.16

Tiff | Kml
NA NA NA NA NA NA
26.03.15
02:50:30
Tiff | Kml
26.03.15
04:28:39
Tiff | Kml
26.03.15
02:00:43
Tiff | Kml
26.03.15
03:37:27
Tiff | Kml
26.03.15
05:22:43
Tiff | Kml
26.03.15

Tiff | Kml
NA NA NA NA NA NA
26.03.14
01:32:41
Tiff | Kml
26.03.14
03:08:00
Tiff | Kml
26.03.14
04:49:00
Tiff | Kml
26.03.14
02:29:36
Tiff | Kml
26.03.14
03:56:22
Tiff | Kml
26.03.14

Tiff | Kml
NA NA NA NA NA NA
26.03.13
01:50:12
Tiff | Kml
26.03.13
03:25:31
Tiff | Kml
26.03.13
05:09:21
Tiff | Kml
26.03.13
02:35:44
Tiff | Kml
26.03.13
04:16:42
Tiff | Kml
26.03.13

Tiff | Kml
NA NA NA NA NA NA
26.03.12
02:06:16
Tiff | Kml
26.03.12
03:58:38
Tiff | Kml
26.03.12
05:29:41
Tiff | Kml
26.03.12
04:35:37
Tiff | Kml
26.03.12

Tiff | Kml
26.03.12

Tiff | Kml
NA NA NA NA NA NA
26.03.11
02:25:11
Tiff | Kml
26.03.11
04:04:47
Tiff | Kml
26.03.11

Tiff | Kml
26.03.11

Tiff | Kml
26.03.11

Tiff | Kml
26.03.11

Tiff | Kml
NA NA NA NA NA NA
26.03.10
02:42:42
Tiff | Kml
26.03.10
04:23:42
Tiff | Kml
26.03.10
01:54:20
Tiff | Kml
26.03.10
03:31:04
Tiff | Kml
26.03.10
05:16:20
Tiff | Kml
26.03.10

Tiff | Kml
NA NA NA NA NA NA
26.03.09
03:14:25
Tiff | Kml
26.03.09
04:42:37
Tiff | Kml
26.03.09
02:11:49
Tiff | Kml
26.03.09
03:49:59
Tiff | Kml
26.03.09
05:36:39
Tiff | Kml
26.03.09
02:40:16
Tiff | Kml
NA NA NA NA NA NA
26.03.08
01:43:49
Tiff | Kml
26.03.08
03:19:06
Tiff | Kml
26.03.08
05:01:32
Tiff | Kml
26.03.08
02:29:19
Tiff | Kml
26.03.08
04:08:55
Tiff | Kml
26.03.08
03:12:01
Tiff | Kml
NA NA NA NA NA NA
26.03.07
02:01:18
Tiff | Kml
26.03.07
03:39:27
Tiff | Kml
26.03.07
05:30:26
Tiff | Kml
26.03.07
02:48:14
Tiff | Kml
26.03.07
04:29:14
Tiff | Kml
26.03.07
01:44:14
Tiff | Kml
NA NA NA NA NA NA
26.03.06
02:20:14
Tiff | Kml
26.03.06
03:58:22
Tiff | Kml
26.03.06
01:31:52
Tiff | Kml
26.03.06
03:07:10
Tiff | Kml
26.03.06
04:48:10
Tiff | Kml
26.03.06
01:58:54
Tiff | Kml
NA NA NA NA NA NA
26.03.05
04:15:53
Tiff | Kml
26.03.05
01:49:21
Tiff | Kml
26.03.05
03:24:41
Tiff | Kml
26.03.05
05:08:31
Tiff | Kml
26.03.05
02:16:24
Tiff | Kml
26.03.05
03:55:59
Tiff | Kml
NA NA NA NA NA NA
26.03.04
02:06:52
Tiff | Kml
26.03.04
03:43:37
Tiff | Kml
26.03.04
05:28:51
Tiff | Kml
26.03.04
02:35:20
Tiff | Kml
26.03.04
04:26:16
Tiff | Kml
26.03.04

Tiff | Kml
NA NA NA NA NA NA
26.03.03
01:37:24
Tiff | Kml
26.03.03
03:12:43
Tiff | Kml
26.03.03
04:55:09
Tiff | Kml
26.03.03
02:24:22
Tiff | Kml
26.03.03
04:02:30
Tiff | Kml
26.03.03
02:52:48
Tiff | Kml
NA NA NA NA NA NA
26.03.02
01:54:56
Tiff | Kml
26.03.02
03:31:38
Tiff | Kml
26.03.02
05:16:56
Tiff | Kml
26.03.02
02:41:51
Tiff | Kml
26.03.02
04:21:26
Tiff | Kml
26.03.02
01:37:51
Tiff | Kml
NA NA NA NA NA NA
26.03.01
02:12:25
Tiff | Kml
26.03.01
04:03:22
Tiff | Kml
26.03.01
05:38:41
Tiff | Kml
26.03.01
03:00:47
Tiff | Kml
26.03.01
04:41:47
Tiff | Kml
26.03.01
01:55:21
Tiff | Kml
NA NA NA NA NA NA
26.02.28
02:29:56
Tiff | Kml
26.02.28
04:09:30
Tiff | Kml
26.02.28
01:42:58
Tiff | Kml
26.02.28
03:19:42
Tiff | Kml
26.02.28
05:00:42
Tiff | Kml
26.02.28
02:12:51
Tiff | Kml
NA NA NA NA NA NA
26.02.27
02:48:51
Tiff | Kml
26.02.27
04:29:51
Tiff | Kml
26.02.27
02:00:30
Tiff | Kml
26.02.27
03:37:12
Tiff | Kml
26.02.27
05:22:28
Tiff | Kml
26.02.27
02:28:56
Tiff | Kml
NA NA NA NA NA NA
26.02.26
01:32:27
Tiff | Kml
26.02.26
03:07:46
Tiff | Kml
26.02.26
04:48:46
Tiff | Kml
26.02.26
02:17:59
Tiff | Kml
26.02.26
03:57:33
Tiff | Kml
26.02.26
02:46:26
Tiff | Kml
NA NA NA NA NA NA
26.02.25
01:49:57
Tiff | Kml
26.02.25
03:26:41
Tiff | Kml
26.02.25
05:09:07
Tiff | Kml
26.02.25
02:35:29
Tiff | Kml
26.02.25
04:16:29
Tiff | Kml
26.02.25
03:05:22
Tiff | Kml
NA NA NA NA NA NA
26.02.24
02:06:02
Tiff | Kml
26.02.24
03:44:11
Tiff | Kml
26.02.24
05:30:52
Tiff | Kml
26.02.24
02:54:24
Tiff | Kml
26.02.24
04:46:46
Tiff | Kml
26.02.24
01:47:33
Tiff | Kml
NA NA NA NA NA NA
26.02.23
02:24:57
Tiff | Kml
26.02.23
04:03:06
Tiff | Kml
26.02.23
01:38:01
Tiff | Kml
26.02.23
03:13:19
Tiff | Kml
26.02.23
04:55:45
Tiff | Kml
26.02.23
02:05:03
Tiff | Kml
NA NA NA NA NA NA
26.02.22
02:42:28
Tiff | Kml
26.02.22
04:33:25
Tiff | Kml
26.02.22
01:55:31
Tiff | Kml
26.02.22
03:30:49
Tiff | Kml
26.02.22
05:16:05
Tiff | Kml
26.02.22
02:23:57
Tiff | Kml
NA NA NA NA NA NA
26.02.21
03:01:23
Tiff | Kml
26.02.21
04:42:24
Tiff | Kml
26.02.21
02:11:36
Tiff | Kml
26.02.21
03:49:44
Tiff | Kml
26.02.21
05:36:26
Tiff | Kml
26.02.21
02:42:53
Tiff | Kml
NA NA NA NA NA NA
26.02.20
01:43:34
Tiff | Kml
26.02.20
03:20:19
Tiff | Kml
26.02.20
05:01:19
Tiff | Kml
26.02.20
02:30:32
Tiff | Kml
26.02.20
04:08:40
Tiff | Kml
26.02.20
02:58:58
Tiff | Kml
NA NA NA NA NA NA
26.02.19
02:01:05
Tiff | Kml
26.02.19
03:37:48
Tiff | Kml
26.02.19
05:21:39
Tiff | Kml
26.02.19
02:48:01
Tiff | Kml
26.02.19
04:29:01
Tiff | Kml
26.02.19
01:42:35
Tiff | Kml
NA NA NA NA NA NA
26.02.18
02:18:34
Tiff | Kml
26.02.18
03:56:43
Tiff | Kml
26.02.18
01:31:38
Tiff | Kml
26.02.18
03:06:57
Tiff | Kml
26.02.18
04:59:18
Tiff | Kml
26.02.18
01:58:40
Tiff | Kml
NA NA NA NA NA NA
26.02.17
02:48:52
Tiff | Kml
26.02.17
04:15:38
Tiff | Kml
26.02.17
01:49:08
Tiff | Kml
26.02.17
03:25:52
Tiff | Kml
26.02.17
05:08:16
Tiff | Kml
26.02.17
02:17:35
Tiff | Kml
NA NA NA NA NA NA
26.02.16
02:55:01
Tiff | Kml
26.02.16
04:35:59
Tiff | Kml
26.02.16
02:06:37
Tiff | Kml
26.02.16
03:43:21
Tiff | Kml
26.02.16
05:30:03
Tiff | Kml
26.02.16
02:35:05
Tiff | Kml
NA NA NA NA NA NA
26.02.15
03:12:30
Tiff | Kml
26.02.15
04:56:20
Tiff | Kml
26.02.15
02:24:09
Tiff | Kml
26.02.15
04:03:43
Tiff | Kml
26.02.15
02:52:36
Tiff | Kml
26.02.15
04:33:34
Tiff | Kml
NA NA NA NA NA NA
26.02.14
01:54:42
Tiff | Kml
26.02.14
03:45:39
Tiff | Kml
26.02.14
05:16:41
Tiff | Kml
26.02.14
02:43:04
Tiff | Kml
26.02.14
04:22:38
Tiff | Kml
26.02.14
01:37:36
Tiff | Kml
NA NA NA NA NA NA
26.02.13
02:23:34
Tiff | Kml
26.02.13
03:50:20
Tiff | Kml
26.02.13
05:37:01
Tiff | Kml
26.02.13
03:00:34
Tiff | Kml
26.02.13
04:41:34
Tiff | Kml
26.02.13
01:53:41
Tiff | Kml
NA NA NA NA NA NA
26.02.12
02:29:41
Tiff | Kml
26.02.12
04:09:15
Tiff | Kml
26.02.12
01:42:45
Tiff | Kml
26.02.12
03:19:29
Tiff | Kml
26.02.12
05:01:53
Tiff | Kml
26.02.12
02:11:11
Tiff | Kml
NA NA NA NA NA NA
26.02.11
02:50:02
Tiff | Kml
26.02.11
04:29:36
Tiff | Kml
26.02.11
02:00:14
Tiff | Kml
26.02.11
03:38:24
Tiff | Kml
26.02.11
05:22:14
Tiff | Kml
26.02.11
02:28:42
Tiff | Kml
NA NA NA NA NA NA
26.02.10
03:07:33
Tiff | Kml
26.02.10
04:48:31
Tiff | Kml
26.02.10
02:17:44
Tiff | Kml
26.02.10
03:55:54
Tiff | Kml
26.02.10
02:47:37
Tiff | Kml
26.02.10
04:38:35
Tiff | Kml
NA NA NA NA NA NA
26.02.09
01:56:50
Tiff | Kml
26.02.09
03:25:02
Tiff | Kml
26.02.09
05:08:52
Tiff | Kml
26.02.09
02:36:39
Tiff | Kml
26.02.09
04:16:15
Tiff | Kml
26.02.09
03:06:33
Tiff | Kml
NA NA NA NA NA NA
26.02.08
02:05:49
Tiff | Kml
26.02.08
02:55:35
Tiff | Kml
26.02.08
01:47:19
Tiff | Kml
26.02.08
03:29:45
Tiff | Kml
26.02.08

Tiff | Kml
26.02.08

Tiff | Kml
NA NA NA NA NA NA
26.02.07
02:24:44
Tiff | Kml
26.02.07
04:02:52
Tiff | Kml
26.02.07
01:37:48
Tiff | Kml
26.02.07
03:13:06
Tiff | Kml
26.02.07
04:54:06
Tiff | Kml
26.02.07
02:04:49
Tiff | Kml
NA NA NA NA NA NA
26.02.06
02:42:13
Tiff | Kml
26.02.06
04:21:47
Tiff | Kml
26.02.06
01:55:17
Tiff | Kml
26.02.06
03:32:02
Tiff | Kml
26.02.06
05:22:58
Tiff | Kml
26.02.06
02:33:41
Tiff | Kml
NA NA NA NA NA NA
26.02.05
03:01:08
Tiff | Kml
26.02.05
04:43:34
Tiff | Kml
26.02.05
02:11:21
Tiff | Kml
26.02.05
03:49:31
Tiff | Kml
26.02.05
05:36:13
Tiff | Kml
26.02.05
02:41:13
Tiff | Kml
NA NA NA NA NA NA
26.02.04
01:43:20
Tiff | Kml
26.02.04
03:18:39
Tiff | Kml
26.02.04
05:01:03
Tiff | Kml
26.02.04
02:30:16
Tiff | Kml
26.02.04
04:08:26
Tiff | Kml
26.02.04
02:58:44
Tiff | Kml
NA NA NA NA NA NA
26.02.03
02:00:50
Tiff | Kml
26.02.03
03:37:34
Tiff | Kml
26.02.03
05:21:24
Tiff | Kml
26.02.03
02:47:48
Tiff | Kml
26.02.03
04:28:46
Tiff | Kml
26.02.03
01:42:21
Tiff | Kml
NA NA NA NA NA NA
26.02.02
02:18:21
Tiff | Kml
26.02.02
03:56:30
Tiff | Kml
26.02.02
01:31:23
Tiff | Kml
26.02.02
03:08:07
Tiff | Kml
26.02.02
04:47:41
Tiff | Kml
26.02.02
01:59:51
Tiff | Kml
NA NA NA NA NA NA
26.02.01
02:35:50
Tiff | Kml
26.02.01
04:16:50
Tiff | Kml
26.02.01
01:48:54
Tiff | Kml
26.02.01
03:25:39
Tiff | Kml
26.02.01
05:08:03
Tiff | Kml
26.02.01
02:17:21
Tiff | Kml
NA NA NA NA NA NA
26.01.31
02:54:45
Tiff | Kml
26.01.31
04:35:45
Tiff | Kml
26.01.31
02:06:24
Tiff | Kml
26.01.31
03:43:08
Tiff | Kml
26.01.31
05:28:24
Tiff | Kml
26.01.31
02:34:51
Tiff | Kml
NA NA NA NA NA NA
26.01.30
01:36:58
Tiff | Kml
26.01.30
03:12:16
Tiff | Kml
26.01.30
04:54:41
Tiff | Kml
26.01.30
02:23:54
Tiff | Kml
26.01.30
04:03:28
Tiff | Kml
26.01.30
02:52:21
Tiff | Kml
NA NA NA NA NA NA
26.01.29
01:54:27
Tiff | Kml
26.01.29
03:31:12
Tiff | Kml
26.01.29
05:15:01
Tiff | Kml
26.01.29
02:41:25
Tiff | Kml
26.01.29
04:22:23
Tiff | Kml
26.01.29
01:37:24
Tiff | Kml
NA NA NA NA NA NA
26.01.28
02:11:58
Tiff | Kml
26.01.28
03:50:07
Tiff | Kml
26.01.28
05:36:48
Tiff | Kml
26.01.28
03:00:18
Tiff | Kml
26.01.28
04:41:18
Tiff | Kml
26.01.28
01:54:54
Tiff | Kml
NA NA NA NA NA NA
26.01.27
04:20:24
Tiff | Kml
26.01.27
01:42:32
Tiff | Kml
26.01.27
03:19:14
Tiff | Kml
26.01.27
05:01:40
Tiff | Kml
26.01.27
02:10:57
Tiff | Kml
26.01.27
03:49:06
Tiff | Kml
NA NA NA NA NA NA
26.01.26
02:48:22
Tiff | Kml
26.01.26
04:27:57
Tiff | Kml
26.01.26
02:08:33
Tiff | Kml
26.01.26
03:38:09
Tiff | Kml
26.01.26
05:22:01
Tiff | Kml
26.01.26
02:28:27
Tiff | Kml
NA NA NA NA NA NA
26.01.25
01:32:01
Tiff | Kml
26.01.25
03:07:18
Tiff | Kml
26.01.25
04:48:18
Tiff | Kml
26.01.25
02:18:56
Tiff | Kml
26.01.25
04:09:54
Tiff | Kml
26.01.25
02:58:46
Tiff | Kml
NA NA NA NA NA NA
26.01.24
01:48:04
Tiff | Kml
26.01.24
03:24:49
Tiff | Kml
26.01.24
05:08:39
Tiff | Kml
26.01.24
02:36:26
Tiff | Kml
26.01.24
04:16:00
Tiff | Kml
26.01.24
03:04:53
Tiff | Kml
NA NA NA NA NA NA
26.01.23
02:16:58
Tiff | Kml
26.01.23
03:45:10
Tiff | Kml
26.01.23
05:28:59
Tiff | Kml
26.01.23
02:53:55
Tiff | Kml
26.01.23
04:34:55
Tiff | Kml
26.01.23
01:47:05
Tiff | Kml
NA NA NA NA NA NA
26.01.22
02:24:30
Tiff | Kml
26.01.22
04:02:39
Tiff | Kml
26.01.22
01:37:33
Tiff | Kml
26.01.22
03:12:51
Tiff | Kml
26.01.22
04:55:17
Tiff | Kml
26.01.22
02:06:00
Tiff | Kml
NA NA NA NA NA NA
26.01.21
02:42:00
Tiff | Kml
26.01.21
04:21:34
Tiff | Kml
26.01.21
01:53:38
Tiff | Kml
26.01.21
03:31:46
Tiff | Kml
26.01.21
05:14:12
Tiff | Kml
26.01.21
02:23:30
Tiff | Kml
NA NA NA NA NA NA
26.01.20
03:00:55
Tiff | Kml
26.01.20
04:41:55
Tiff | Kml
26.01.20
02:11:08
Tiff | Kml
26.01.20
03:49:18
Tiff | Kml
26.01.20
05:35:58
Tiff | Kml
26.01.20
02:42:26
Tiff | Kml
NA NA NA NA NA NA
26.01.19
03:32:38
Tiff | Kml
26.01.19
05:00:50
Tiff | Kml
26.01.19
04:11:03
Tiff | Kml
26.01.19
02:58:31
Tiff | Kml
26.01.19
04:39:29
Tiff | Kml
26.01.19

Tiff | Kml
NA NA NA NA NA NA
26.01.16
02:35:37
Tiff | Kml
26.01.16
01:48:39
Tiff | Kml
26.01.16
02:15:41
Tiff | Kml
26.01.16

Tiff | Kml
26.01.16

Tiff | Kml
26.01.16

Tiff | Kml
NA NA NA NA NA NA
26.01.15
02:54:32
Tiff | Kml
26.01.15
04:35:32
Tiff | Kml
26.01.15
02:06:10
Tiff | Kml
26.01.15
03:42:55
Tiff | Kml
26.01.15
05:28:10
Tiff | Kml
26.01.15
02:34:37
Tiff | Kml
NA NA NA NA NA NA
26.01.14
01:36:44
Tiff | Kml
26.01.14
03:12:01
Tiff | Kml
26.01.14
04:54:27
Tiff | Kml
26.01.14
02:23:40
Tiff | Kml
26.01.14
04:03:14
Tiff | Kml
26.01.14
02:52:07
Tiff | Kml
NA NA NA NA NA NA
26.01.13
01:54:13
Tiff | Kml
26.01.13
03:30:58
Tiff | Kml
26.01.13
05:14:48
Tiff | Kml
26.01.13
02:41:09
Tiff | Kml
26.01.13
04:22:09
Tiff | Kml
26.01.13
01:35:44
Tiff | Kml
NA NA NA NA NA NA
26.01.12
02:11:43
Tiff | Kml
26.01.12
03:49:53
Tiff | Kml
26.01.12
05:36:34
Tiff | Kml
26.01.12
03:00:05
Tiff | Kml
26.01.12
04:41:05
Tiff | Kml
26.01.12
01:53:14
Tiff | Kml
NA NA NA NA NA NA
26.01.11
02:29:14
Tiff | Kml
26.01.11
04:08:48
Tiff | Kml
26.01.11
01:42:16
Tiff | Kml
26.01.11
03:19:00
Tiff | Kml
26.01.11
05:01:26
Tiff | Kml
26.01.11
02:10:44
Tiff | Kml
NA NA NA NA NA NA
26.01.10
02:48:09
Tiff | Kml
26.01.10
04:27:43
Tiff | Kml
26.01.10
01:59:47
Tiff | Kml
26.01.10
03:37:56
Tiff | Kml
26.01.10
05:21:46
Tiff | Kml
26.01.10
02:28:14
Tiff | Kml
NA NA NA NA NA NA
26.01.09
01:31:45
Tiff | Kml
26.01.09
03:07:04
Tiff | Kml
26.01.09
04:48:04
Tiff | Kml
26.01.09
02:17:17
Tiff | Kml
26.01.09
03:56:51
Tiff | Kml
26.01.09
02:45:45
Tiff | Kml
NA NA NA NA NA NA
26.01.08
01:47:51
Tiff | Kml
26.01.08
03:24:33
Tiff | Kml
26.01.08
05:08:25
Tiff | Kml
26.01.08
02:36:12
Tiff | Kml
26.01.08
04:15:46
Tiff | Kml
26.01.08
03:04:38
Tiff | Kml
NA NA NA NA NA NA
26.01.07
02:05:20
Tiff | Kml
26.01.07
03:43:30
Tiff | Kml
26.01.07
05:28:46
Tiff | Kml
26.01.07
02:53:42
Tiff | Kml
26.01.07
04:34:42
Tiff | Kml
26.01.07
01:46:50
Tiff | Kml
NA NA NA NA NA NA
26.01.06
02:24:15
Tiff | Kml
26.01.06
04:02:25
Tiff | Kml
26.01.06
01:37:19
Tiff | Kml
26.01.06
03:12:37
Tiff | Kml
26.01.06
04:53:37
Tiff | Kml
26.01.06
02:04:20
Tiff | Kml
NA NA NA NA NA NA
26.01.05
02:41:46
Tiff | Kml
26.01.05
04:21:20
Tiff | Kml
26.01.05
01:53:24
Tiff | Kml
26.01.05
03:31:33
Tiff | Kml
26.01.05
05:13:59
Tiff | Kml
26.01.05
02:21:50
Tiff | Kml
NA NA NA NA NA NA
26.01.04
03:13:29
Tiff | Kml
26.01.04
04:41:41
Tiff | Kml
26.01.04
02:12:20
Tiff | Kml
26.01.04
03:49:02
Tiff | Kml
26.01.04
05:35:44
Tiff | Kml
26.01.04
02:39:21
Tiff | Kml
NA NA NA NA NA NA
26.01.03
01:42:53
Tiff | Kml
26.01.03
03:18:11
Tiff | Kml
26.01.03
05:00:36
Tiff | Kml
26.01.03
02:29:49
Tiff | Kml
26.01.03
04:09:23
Tiff | Kml
26.01.03
02:58:16
Tiff | Kml
NA NA NA NA NA NA
26.01.02
02:00:23
Tiff | Kml
26.01.02
03:37:06
Tiff | Kml
26.01.02
05:22:23
Tiff | Kml
26.01.02
02:47:19
Tiff | Kml
26.01.02
04:28:19
Tiff | Kml
26.01.02
01:41:53
Tiff | Kml
NA NA NA NA NA NA
26.01.01
02:17:52
Tiff | Kml
26.01.01
03:56:02
Tiff | Kml
26.01.01
01:32:22
Tiff | Kml
26.01.01
03:06:14
Tiff | Kml
26.01.01
04:47:14
Tiff | Kml
26.01.01
01:57:58
Tiff | Kml